Local Service Guide

Get Ants Extermination Service in South Houston, TX

Local contractors in South Houston, TX, can handle ant infestations, prevent future problems, and manage pest control projects for residential or commercial properties.

South Houston, TX

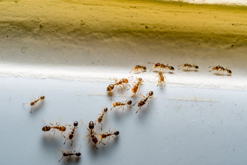
Ants infestation can be a common challenge for property owners in South Houston, TX, especially given the area's warm climate and outdoor spaces. If you’re noticing ants around your property, exploring professional extermination services may be a practical step toward maintaining a clean and comfortable environment. Local contractors specializing in pest control can provide tailored solutions to address the specific types of ants and the unique conditions of South Houston properties. Comparing different service providers can help ensure you find experienced professionals equipped to handle the job effectively.

Understanding the options available in your area can make planning your pest management project more straightforward. Many property owners seek out local service providers who are familiar with the common pest challenges in South Houston and can offer reliable, effective treatments. Continuing to explore your local choices can help you identify the right professionals to meet your needs and keep your property free of ants.

Get Ants Extermination Service Quotes

  • Ants Extermination - When ants invade kitchens or pantry areas in neighborhoods across South Houston, TX.
  • Ants Extermination - If persistent ant trails are found in residential yards or around outdoor living spaces.
  • Ants Extermination - During infestations in commercial properties within nearby communities that require prompt removal.
  • Ants Extermination - When ants are seen nesting inside wall voids or behind appliances in local homes.
  • Ants Extermination - If ant activity increases during warmer months in areas like Pasadena or Pearland neighborhoods.
Ants Extermination Service
Ants Extermination Service
Ants Extermination Service

Ants extermination services involve identifying and eliminating ant infestations within residential properties. Professional service providers use targeted methods to locate ant nests and entry points, applying effective treatments to remove the colonies. This approach not only addresses visible ants but also aims to prevent future invasions by treating the areas where ants are likely to establish new colonies. The process is designed to be thorough, ensuring that the property is effectively protected from ongoing ant problems.

These services help solve common issues caused by ant infestations, such as unwanted crawling insects in kitchens, bathrooms, and other living spaces. Ants can contaminate food, create unsanitary conditions, and sometimes cause damage to wooden structures or insulation. Professional exterminators use proven techniques to eliminate the entire colony, reducing the chances of recurring problems and restoring comfort and cleanliness to the home environment.

Properties that typically seek ant extermination services include single-family homes, multi-unit residential buildings, and even certain commercial spaces. Homes with visible ant trails or nests often require treatment to prevent the spread of the colony. Additionally, properties located near outdoor sources like gardens, woodpiles, or trash areas may be more prone to ant invasions and benefit from regular or one-time pest control solutions. Whether it's a small infestation or a larger, persistent problem, local contractors can tailor their approach to suit different property types.

Homeowners in South Houston, TX, and nearby areas often turn to professional ant extermination services when faced with persistent ant issues. These services are suitable for addressing immediate infestations or establishing ongoing pest management plans. By working with experienced service providers, residents can effectively manage ant problems and protect their homes from future invasions, ensuring a cleaner, safer living space.

The overview below groups typical Ants Extermination Service projects into broad ranges so you can see how smaller, mid-sized, and larger jobs often compare in South Houston, TX.

In many markets, a large share of routine jobs stays in the lower and middle ranges, while only a smaller percentage of projects moves into the highest bands when the work is more complex or site conditions are harder than average.

Small Ant Infestation Removal - Typical costs range from $250 to $600 for many routine ant extermination jobs in South Houston, TX. Most local contractors handle these smaller projects within this range, depending on the extent of the infestation.

Localized Treatment - For specific areas like kitchens or basements, prices usually fall between $300 and $800. These projects are common and tend to stay within this middle range, with fewer exceeding $1,000.

Comprehensive Property Extermination - Larger, more complex ant control projects can cost $1,000 to $3,000 or more. Such jobs are less frequent but necessary for extensive infestations across multiple buildings or large properties.

Full Property Replacement or Long-Term Solutions - In rare cases requiring complete removal and treatment systems, costs can reach $5,000+ depending on property size and complexity. These projects are typically at the upper end of the cost spectrum and involve significant work by local service providers.

Actual totals will depend on details like access to the work area, the scope of the project, and the materials selected, so use these as general starting points rather than exact figures.

Get a Quote

Pest Control for Cockroaches - pest control specialists use similar techniques and tools to identify and eliminate cockroach infestations, ensuring a pest-free environment.

Termite Inspection and Treatment - termite service providers utilize planning and treatment methods comparable to ant extermination to prevent and control wood-damaging pests.

Rodent Exclusion Services - local contractors employ similar planning and sealing techniques to prevent rodents from entering structures, complementing ant control efforts.

Spider and Insect Control - providers apply comparable pest management strategies to control spiders and other insects that often coexist with ant populations.

Bed Bug Treatment Services - pest control experts use specialized tools and planning to locate and eliminate bed bugs, similar to approaches used in ant extermination.

Wildlife Removal and Exclusion - specialists handle the removal and exclusion of larger pests, utilizing planning and tools akin to those used in ant control projects.

Ants Extermination Service

When comparing ant extermination service providers in South Houston, TX, it’s important to consider their experience handling similar projects. Homeowners should inquire about how long a contractor has been working in the area and whether they have a proven track record of successfully managing ant infestations. Experienced service providers are often more familiar with the specific types of ants common in the region and understand the most effective methods to eliminate them efficiently. Checking whether a contractor has completed comparable jobs can help ensure the chosen professional has the practical knowledge needed to address the unique challenges of local pest issues.

Clear, written expectations are a key aspect of selecting a reliable ant extermination service. Homeowners should seek detailed information about the scope of work, the methods used, and any preparations required before treatment. Transparent communication about what to expect helps prevent misunderstandings and ensures that both parties are aligned on the process. Service providers who can articulate their approach in writing demonstrate professionalism and a commitment to clarity, making it easier for homeowners to make informed decisions about who to hire.

Reputable references and good communication are essential when evaluating local contractors for ant control. Homeowners are encouraged to ask for references or reviews from previous clients who had similar issues. This feedback can provide insights into the quality of service and the contractor’s reliability. Additionally, a service provider’s responsiveness and willingness to answer questions during the initial inquiry can indicate how effectively they communicate and how committed they are to customer satisfaction. While the site introduces homeowners to local options, it’s up to each homeowner to gather this information and choose a professional who demonstrates experience, clarity, and strong communication skills.

Get an Ants Extermination Service Quote

Property owners in South Houston, TX use Ants Extermination Service services for practical projects around their homes and businesses. This guide focuses on everyday jobs and straightforward project options.

Ants Extermination Service
Ants Extermination Service

Ants extermination services are often needed when property owners in South Houston, TX notice persistent ant trails or find ants invading kitchens, pantries, or outdoor spaces. These small pests can quickly become a nuisance, especially during warmer months when ants are most active. Local contractors experienced in ant control can assess the situation, identify the source of the infestation, and implement targeted treatments to help restore comfort and cleanliness to a home or business.

In addition to visible ant activity, property owners might seek extermination services after discovering ant mounds around the yard or noticing ants entering through cracks and gaps in the foundation. Such issues can lead to ongoing infestations if not addressed promptly. Local service providers are equipped to handle these common scenarios, offering solutions that help prevent future invasions and maintain a pest-free environment in residential and commercial properties in South Houston.

Get an Ants Extermination Service Quote

How do local contractors handle ant infestations? Local contractors typically identify the source of the ant problem, then apply targeted treatments to eliminate colonies and prevent future infestations.

What methods are commonly used for ants extermination? Common methods include baiting, liquid treatments, and barrier applications to effectively control ant populations around properties.

Are ant extermination services safe for homes and families? Yes, local service providers use proven techniques designed to minimize risks while effectively managing ant issues.

Can ants return after treatment? While treatments are effective, ongoing prevention and proper sanitation are recommended to reduce the chances of ants returning.

How do I find local pros for ant extermination? You can contact local contractors through lead generation services that connect homeowners with experienced pest control providers in South Houston, TX, and nearby areas.

Ants Prevention Tips - Property owners can learn how to identify early signs of ant activity and implement simple measures to reduce attractants around their homes.

Interior Ant Control - Homeowners can explore options for professional treatment to eliminate ants inside kitchens, bathrooms, and other common areas.

Exterior Ant Barriers - Property owners can discover ways to create effective barriers around foundations and landscaping to keep ants from entering.

Seasonal Ant Management - Homeowners can find strategies for ongoing prevention and control tailored to different times of the year in South Houston, TX.

Ants Extermination Service

If you are thinking about Ants Extermination Service for a property in South Houston, TX, this guide is meant to help you understand the work, the typical project types, and how different options might fit your plans.

When you are ready, you can use the quote form on this page to share a few details about your project. From there, local pros can review the basics and respond with options that match what you have in mind.

Get a Quote

Ants Extermination Quotes

Our Trusted Partners
Cantu Pest Control
Orkin
Hawx Pest Control