Local Service Overview

Get Ants Extermination Service in Pasadena, TX

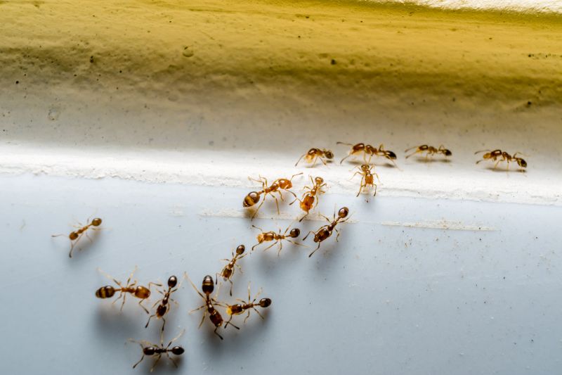
Ants extermination services for property owners in Pasadena, TX, and nearby areas address ant infestations, prevent future invasions, and handle residential and commercial ant control projects.

Pasadena, TX

Ants extermination services in Pasadena, TX provide property owners with effective solutions to manage and prevent ant infestations. These services help maintain a comfortable and safe living or working environment by reducing the presence of pests that can cause inconvenience or damage. Proper extermination can also enhance the functionality of outdoor and indoor spaces, allowing residents to enjoy their properties without the nuisance of ants disrupting daily activities.

Choosing professional ant extermination offers benefits such as improved curb appeal and long-term durability of the property. Regular treatment can minimize future infestations, decreasing the need for ongoing maintenance and repairs. This not only preserves the aesthetic value of the property but also supports overall safety and peace of mind for property owners in Pasadena, TX.

Get Ants Extermination Service Quotes

  • Ants Extermination - When ants invade kitchens or pantry areas in Pasadena, TX, professional services can help eliminate the colony.
  • Ants Extermination - Homes or businesses experiencing persistent ant trails or nests in nearby neighborhoods may require expert pest control.
  • Ants Extermination - If ant activity is noticed around outdoor spaces or garden beds in the Houston metropolitan area, local pros can assist with treatment.
  • Ants Extermination - Structures with signs of ant mounds or frequent ant sightings in residential or commercial properties may benefit from specialized extermination services.
  • Ants Extermination - When ant infestations threaten stored goods or food supplies in nearby commercial facilities, pest control providers can address the issue.

Get Ants Extermination Service Quotes

Ants Extermination Service
Ants Extermination Service
Ants Extermination Service

Ants extermination services involve identifying and eliminating ant infestations within residential, commercial, or industrial properties. Professionals typically conduct thorough inspections to locate ant colonies and determine the species involved, which helps in selecting the most effective treatment methods. Treatments may include targeted baits, insecticidal dusts, or sprays designed to eradicate the colony at its source. These services aim to reduce or eliminate ant populations, preventing further intrusion and minimizing the potential for damage or contamination caused by these pests.

The primary problems addressed by ants extermination services include persistent invasions that disrupt daily activities and the risk of property damage. Certain ant species, such as carpenter ants, can compromise the structural integrity of wood in homes and buildings. Additionally, ants can contaminate food supplies and surfaces, posing health concerns in both residential and commercial settings. Exterminators help mitigate these issues by implementing integrated pest management strategies that focus on both immediate removal and long-term prevention.

Properties that commonly utilize ants extermination services range from single-family homes to larger commercial facilities. Residential properties often seek assistance when ants invade kitchens, bathrooms, or other areas where food is stored or prepared. Commercial establishments, including restaurants, grocery stores, and warehouses, require regular pest control to maintain hygiene standards and prevent infestations that could impact operations. Additionally, property managers and landlords may arrange for pest control services to protect rental units and common areas from recurring ant problems.

Professional ant extermination services are tailored to suit various property types and levels of infestation. For homes, services typically focus on eliminating visible colonies and applying preventative measures to avoid future invasions. In larger or more complex properties, such as multi-unit complexes or commercial buildings, integrated pest management strategies may be employed to address multiple entry points and nesting sites. Engaging experienced pest control providers ensures that ant issues are handled efficiently, helping property owners maintain pest-free environments.

The overview below groups typical Ants Extermination Service projects into broad ranges so you can see how smaller, mid-sized, and larger jobs often compare in Pasadena, TX.

In many markets, a large share of routine jobs stays in the lower and middle ranges, while only a smaller percentage of projects moves into the highest bands when the work is more complex or site conditions are harder than average.

Initial Inspection - The cost for an ant inspection typically ranges from $50 to $150, depending on property size and complexity. This fee covers a thorough assessment to identify ant activity and entry points.

One-Time Treatment - A single ant extermination service can cost between $150 and $300. Prices vary based on the extent of infestation and the treatment methods used by local service providers.

Ongoing Prevention - Ongoing ant control plans generally range from $50 to $100 per month. These plans often include regular visits and treatments to keep ants from returning.

Property Size Considerations - Larger properties or those with severe infestations may incur costs from $300 to $600 for comprehensive treatment. Service providers tailor costs based on property size and ant activity levels.

Actual totals will depend on details like access to the work area, the scope of the project, and the materials selected, so use these as general starting points rather than exact figures.

Get an Ants Extermination Service Quote

Ants Extermination - Local pest control providers offer targeted treatments to eliminate ant colonies and prevent future infestations. Their services are designed to address residential and commercial ant issues efficiently.

Ant Control for Homes - Service providers specialize in identifying ant entry points and applying effective solutions to protect households from recurring ant problems. They focus on safe and thorough removal methods.

Commercial Ant Extermination - Businesses can connect with local pros who provide comprehensive ant control services tailored to commercial properties, helping maintain a pest-free environment.

Outdoor Ant Removal - Experts offer outdoor treatments to eliminate ant nests and reduce the likelihood of ants migrating indoors. Their strategies are suitable for yards, gardens, and outdoor structures.

Ant Prevention Services - Local providers assist with implementing preventative measures to keep ants from returning, including sealing entry points and applying barrier treatments.

Eco-Friendly Ant Control - Some service providers utilize environmentally conscious methods to manage ant infestations while minimizing impact on the surrounding area.

Ants Extermination Service

When comparing local ant extermination service providers, experience is a key factor to consider. Homeowners should look for professionals with a proven track record in handling ant infestations similar to their own. Established local providers often have extensive knowledge of common ant species in Pasadena, TX, and surrounding areas, which can contribute to more effective treatment strategies. Reviewing the background and duration of a company's presence in the community can help gauge their familiarity with local pest challenges and their ability to deliver consistent results.

Clear and written expectations are essential when selecting an ant extermination service. Reputable local providers typically offer detailed service descriptions, outlining the scope of work, methods used, and any necessary follow-up procedures. This transparency helps homeowners understand what to expect and ensures there are no surprises once the work begins. It’s advisable to request written estimates or service agreements that specify the treatments planned, so homeowners can make informed decisions based on consistent information.

Reputation and communication are also critical when choosing a local pest control provider. Homeowners should seek out service providers with positive references or reviews from previous clients in the Pasadena area, which can serve as indicators of reliability and quality. Effective communication involves prompt responses to inquiries, clear explanations of treatment options, and a willingness to address any concerns. Establishing open lines of communication with local pros can help ensure the pest management process aligns with homeowner expectations and needs.

Get an Ants Extermination Service Quote

Property owners in Pasadena, TX use Ants Extermination Service services for practical projects around their homes and businesses. The sections below highlight everyday jobs and straightforward project options.

Ants Extermination Service
Ants Extermination Service

Ants extermination services are commonly sought by property owners in Pasadena, TX, dealing with persistent ant infestations that can invade kitchens, pantries, and outdoor spaces. These pests often appear unexpectedly, especially during warmer months, and can quickly become a nuisance if not addressed promptly. Local professionals offer targeted treatments to eliminate existing colonies and help prevent future invasions, making them a practical resource for homeowners and business owners facing ant-related issues.

Many property owners in Pasadena look for ant extermination services after noticing signs such as ant trails, nests in yards, or damaged food supplies. These services are also frequently needed when ants begin to invade indoor living or working areas, disrupting daily activities. Local pest control providers can assess the extent of the problem and recommend appropriate solutions to manage ant populations effectively, helping to restore comfort and hygiene to residential and commercial spaces.

Get an Ants Extermination Service Quote

How do ant extermination services work? Ant extermination services typically involve inspecting the property to identify ant colonies and entry points, followed by targeted treatments using baits, sprays, or dusts to eliminate ants and prevent future infestations.

Are ant treatments safe for pets and children? Many ant extermination methods are designed to be safe for households, but it is recommended to discuss safety concerns with local service providers to ensure appropriate products are used around pets and children.

How long does an ant extermination treatment last? The effectiveness duration of ant treatments can vary depending on the method used and the severity of the infestation; local pros can provide guidance on maintenance or follow-up treatments.

Can ant extermination services prevent future infestations? Yes, professional treatments often include recommendations for ongoing prevention, such as sealing entry points and maintaining clean surroundings to reduce the likelihood of future ant problems.

What should I do before a pest control visit? It is generally advised to clear the area of food, dishes, and clutter near the treatment zones to allow the service provider to access affected areas effectively.

Ants Extermination Techniques - Local service providers utilize a variety of methods, including baiting and residual treatments, to effectively eliminate ant infestations.

Identifying Ant Species - Pros can help determine the specific type of ants present to recommend the most appropriate extermination approach.

Preventive Ant Control - Service providers offer advice and treatments to reduce the likelihood of future ant problems around properties.

Emergency Ant Extermination Services - Immediate assistance is available for severe ant invasions requiring prompt attention.

Ants Extermination Service

Considering Ants Extermination Service for a property in Pasadena, TX? The sections above highlight common project types, practical options, and details that often shape the scope of work.

When you are ready, use the quote form to share a few details about your project. Local pros can review the basics and respond with options that match what you have in mind.

Get an Ants Extermination Service Quote

Ants Extermination Quotes

Our Trusted Partners
Cantu Pest Control
Orkin
Hawx Pest Control